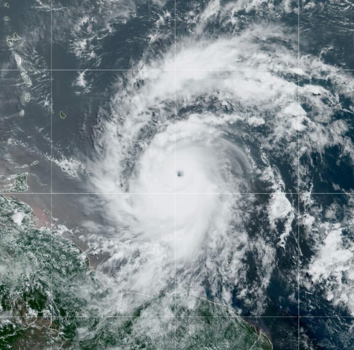
La Oficina Nacional de Meteorología informó que Beryl continúa siendo un peligroso huracán categoría 5 y se localiza en la latitud 14.7 norte y longitud 67.1 oeste, esto es, aproximadamente a unos 415 kilómetros al sureste de Isla Saona (La Romana).
Tiene vientos máximos sostenidos de 270 kilómetros por hora y se desplaza hacia el oeste/noroeste a unos 35 kilómetros por hora. Es importante mantenerse atentos a la evolución y desarrollo de Beryl a través de los boletines emitidos por este Centro Nacional de Pronósticos.
La entidad, mantiene el aviso de condiciones de tormenta tropical desde Punta Palenque, en San Cristóbal hasta Pedernales, frontera con Haití.
En tal sentido, recomienda a los operadores de embarcaciones permanecer en puerto, desde Miches (El Seibo) hasta Isla Beata (Pedernales) debido a la peligrosidad del huracán Beryl, el cual, producirá condiciones marítimas peligrosas.
Los habitantes en zonas costeras deben tomar las precauciones de lugar y alejarse de las zonas más propensas a rompientes y posibles penetraciones en zonas costeras bajas.
Fuente: N Digital





