InicioInternacionalesLa ONU destina 2,5 millones de dólares a Jamaica por efectos del...

La ONU destina 2,5 millones de dólares a Jamaica por efectos del huracán Beryl

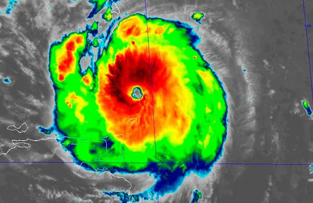
Naciones Unidas, 5 jul (EFE).- La ONU informó este viernes que ha destinado 2,5 millones de dólares a Jamaica para paliar los efectos del huracán Beryl, que ha dejado en el país importantes daños y al menos dos fallecidos.

La inversión procede de los 4 millones de dólares que han salido del Fondo Central para la Acción en Casos de Emergencia, dedicado a prestar asistencia humanitaria rápida y fiable a los afectados por desastres meteorológicos y emergencias, y que se desbloquearon el pasado miércoles al conocerse los graves destrozos del Beryl.

Entre las prioridades del organismo se encuentra dar refugio a los afectados, garantizar el suministro de agua potable para evitar un brote de enfermedades y dar apoyo en comunicación para que «el gobierno recupere sus sistemas lo antes posible», indicó en una rueda de prensa Dennis Zulu, coordinador residente de la ONU en Jamaica.

Zulu recordó que el 70 % de los clientes de la Comisión Nacional del Agua de Jamaica, unas 400.000 personas, no tiene acceso a agua potable debido al impacto del huracán.

Asimismo, subrayó que el 40 % de la población en el país no tiene electricidad.

«Tenemos doce agencias de la ONU residentes en Jamaica, y nueve que trabajan fuera del país. En los últimos años hemos estado trabajando en el apoyo a la resiliencia de Jamaica, dada su vulnerabilidad y la de otros países del Caribe oriental a los efectos del cambio climático, como el huracán Beryl», destacó Simon Springett, coordinador residente de la organización para Barbados y el Caribe Oriental, que también participó en la rueda de prensa.

Springett advirtió que lo que se está viviendo en el Caribe «es solo una parte de lo que va a ser una temporada de huracanes activa».

Este año el Atlántico tendrá una temporada de huracanes muy por encima del promedio, con la posibilidad de hasta 13 huracanes, de los cuales hasta siete pueden ser de categoría mayor, según la Oficina Nacional de Administración Oceánica y Atmosférica (NOAA, en inglés) de Estados Unidos.

En la temporada de huracanes en la cuenca atlántica, que comenzó el pasado 1 de junio, se han formado hasta ahora tres tormentas tropicales con nombre: Alberto, Beryl y Chris.

Beryl, el sistema más temprano de categoría 4 registrado en la historia, se mueve con una velocidad de 26 kilómetros por hora (16 millas por hora) en dirección oeste-noroeste.

Fuente: Hoy

RELATED ARTICLES
spot_imgspot_imgspot_imgspot_img

LAS ÚLTIMAS NOTICIAS DE HOY

El Ministerio de Trabajo recuerda que el Día de Nuestra Señora...

El Ministerio de Trabajo recordó este viernes a los empleadores y trabajadores que el miércoles 21 de enero, día de Nuestra Señora de la Altagracia, será un día...

Mas Populares