Con el asunto del “artefacto” extraterrestre, el «u que seyocuanto» que ronda el espacio en nuestro sistema solar y que ha motivado una supuesta “alerta interplanetaria”, nos llama la atención, que desde hace ya cuatro días en el área caribeña merodea un supuesto huracán o “disturbio atmosférico”, que por los movimientos aparentemente erráticos que efectúa, da la impresión como si fuera otro artefacto sideral de origen extraterrestre desconocido.
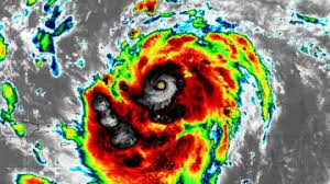
La sospecha nos viene, desde que los servicios meteorológicos ahora se basan en proyecciones de “cerebros electrónicos” que presentan muchas rayitas y garabatos y manchas de muchos colores, cuando antes, lo primero a lo que se apelaba era a los vuelos de los aviones caza huracanes.
Llamamos pues la atención de nuestros lectores, porque como tampoco se habla del “ojo del huracán”, da pie a que muchos supongamos, que se trata de una nave extraterrestre de vigilancia en la región caribeña.
Por la primera, se vigila a EEUU y Europa con el asunto de la escalada de la guerra contra Rusia en Ucrania y con relación a la segunda, de vigilancia o control de rutas marítimas invadidas por los navíos de la Cuarta Flota estadounidense, ahora matando gente inocente.
En uno o en otro caso, es hora de exigir explicaciones. (DAG-OJO)





